您当前位置:首页 » 水利工程 » 水利图纸 » 大坝堤防

2023 山塘建设工程技术施工图71P

  • 资料等级:
  • 授权方式:资料共享
  • 发布时间:2026-04-13
  • 资料类型:RAR
  • 资料大小:23 MB
  • 资料分类:水利图纸
  • 运行环境:WinXp,Win2003,WinVista,Win ;
  • 解压密码:gc5.com
2023 山塘建设工程技术施工图71P
2023 山塘建设工程技术施工图71P,PDF文档

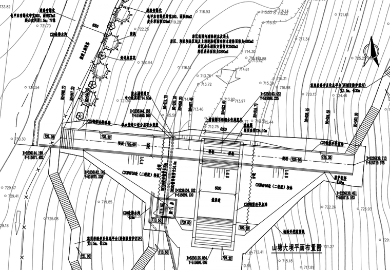
山塘设计总容积 1.51 万 m³,坝高 16.7m,坝高及上下游水头差大于 10m,根据《浙江省山塘综合整治技术导则》,山塘坝型为混凝土重力坝,山塘类型为高坝山塘。工程设计洪水重现期 20 年,校核洪水重现期 100 年。
资料截图
  • 2023 山塘建设工程技术施工图71P
  • 2023 山塘建设工程技术施工图71P